_Martins_IZFAM_El_Valle_DF_Venezuela.jpg)
Specimen Type: holotype Sex: m Institution: IZAFM Instituto de Zoología Agrícola, Faculdad de Agronomía de Maracay, Venezuela Photographer: Larry G. Bezark Collection Location: El Valle, DF, Venezuela 33634
|
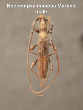
_Martins_Bolivia_Wappes_Photo.jpg)
Sex: m Photographer: Jim Wappes Collection Location: Bolivia 10459
|