_Martins_CAS_JAC.jpg)
Specimen Type: holotype Sex: m Institution: CAS California Academy of Sciences, San Francisco, CA, USA Photographer: John Chemsak Collection Location: Jalapa, Veracruz, Mexico 17496
|
_Martins_CAS_11106.jpg)
Specimen Type: holotype Sex: m Institution: CAS California Academy of Sciences, San Francisco, CA, USA Photographer: Larry G. Bezark Collection Location: Jalapa, Veracruz, Mexico 23526
|
_Martins_Veracruz_Mexico_UCB.jpg)
Specimen Type: paratype Institution: UCB Essig Museum of Entomology, Berkeley, California, USA Photographer: Larry G. Bezark Collection Location: Veracruz, Mexico 10443
|
_Martins_AMNH.jpg)
Specimen Type: paratype Institution: AMNH American Museum of Natural History, New York, NY, USA 27856
|
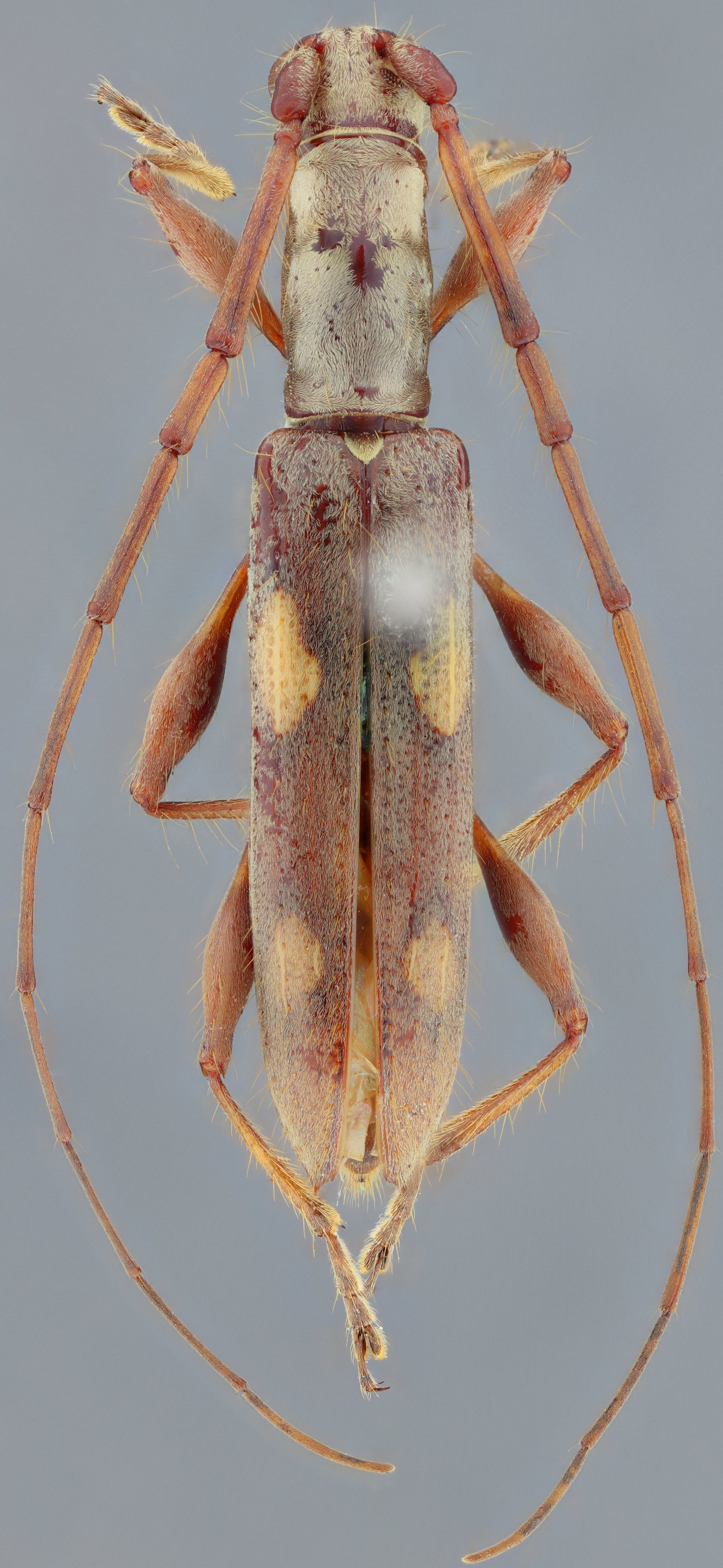
_Martins_MZSP_Jalapa_Veracruz_Mexico_SS.jpg)
Specimen Type: paratype Sex: m Institution: MZSP Museu de Zoologia da Universidade de São Paulo, Brazil Photographer: Antonio Santos-Silva Collection Location: Jalapa, Veracruz, Mexico 70999
|
_Martins_MZSP_Mexico.jpg)
Sex: m Institution: MZSP Museu de Zoologia da Universidade de São Paulo, Brazil Photographer: Antonio Santos-Silva Collection Location: Mexico 70998
|
|