_Martins_NMNH_JAC.jpg)
Specimen Type: holotype Sex: f Institution: NMNH United States National Museum, Washington, DC, USA Photographer: John Chemsak Collection Location: Venezuela 17494
|
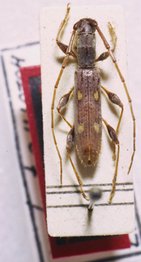
_Martins_Venezuela_USNM_SWL.jpg)
Specimen Type: holotype Sex: f Institution: NMNH United States National Museum, Washington, DC, USA Photographer: Steve Lingafelter Collection Location: Venezuela 10442
|