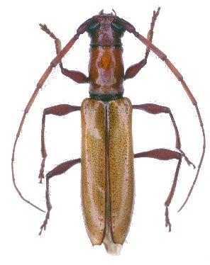
_Fisher_Dominica_USNM_SWL_=_Neocompsa.jpg)
Heterachthes fulgens Fisher Specimen Type: holotype Institution: NMNH United States National Museum, Washington, DC, USA Photographer: Steve Lingafelter Collection Location: Dominica, West Indies, Leeward Islands 8334
|
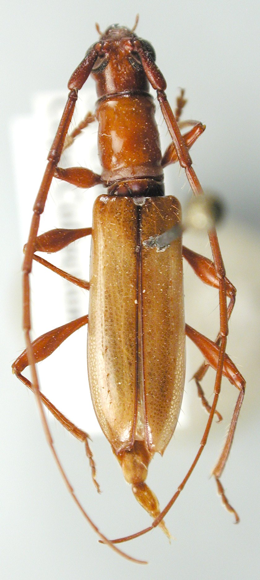
 (Fisher) St Claude, Matouba, Guadeloupe JCPC LGB.jpg)
Sex: f Institution: JCPC Jim Cope Collection, San Jose, California, USA now at CSCA, Sacramento Photographer: Larry G. Bezark Determiner: Jim Cope Collection Location: St Claude, Matouba, Guadeloupe 98060
|
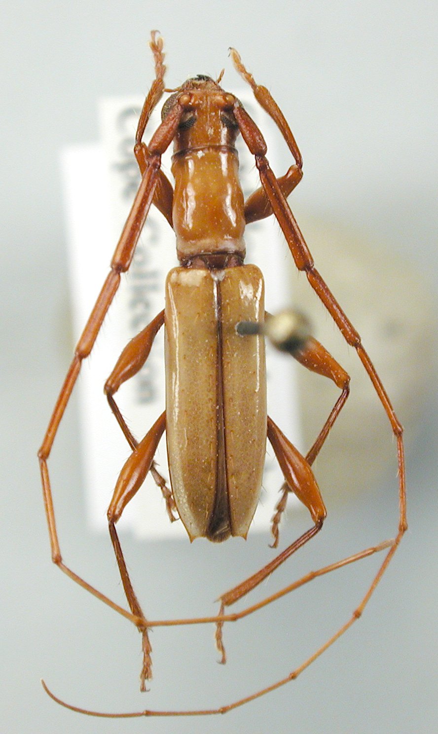
 (Fisher) St Claude, Matouba, Guadeloupe JCPC LGB.jpg)
Sex: m Institution: JCPC Jim Cope Collection, San Jose, California, USA now at CSCA, Sacramento Photographer: Larry G. Bezark Determiner: Jim Cope Collection Location: St Claude, Matouba, Guadeloupe 98059
|
 (Fisher) St Claude, Matouba, Guadeloupe JCPC LGB.jpg)
Sex: m Institution: JCPC Jim Cope Collection, San Jose, California, USA now at CSCA, Sacramento Photographer: Larry G. Bezark Determiner: Jim Cope Collection Location: St Claude, Matouba, Guadeloupe 98061
|
_(Fisher)_Touroult_photo.jpg)
Sex: f Photographer: Julien Touroult 23062
|
_(Fisher)_Touroult_photo.jpg)
Sex: m Photographer: Julien Touroult 23063
|
|