_G_and_SS_NMNH_Pemex_Melaque_Jalisco_Mex_SS.jpg)
Specimen Type: holotype Sex: m Institution: NMNH United States National Museum, Washington, DC, USA Photographer: Antonio Santos-Silva Collection Location: Pemex, Melaque, Jalisco, Mexico 53318
|
_G_and_SS_NMNH_Pemex_Melaque_Jalisco_Mex_SS.jpg)
Specimen Type: holotype Sex: m Institution: NMNH United States National Museum, Washington, DC, USA Photographer: Antonio Santos-Silva Collection Location: Pemex, Melaque, Jalisco, Mexico 53319
|
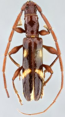
_G_and_SS_NMNH_Pemex_Melaque_Jalisco_Mex_SS.jpg)
Specimen Type: holotype Sex: m Institution: NMNH United States National Museum, Washington, DC, USA Photographer: Antonio Santos-Silva Collection Location: Pemex, Melaque, Jalisco, Mexico 53320
|
|