_G_and_SS_NMNH_98kmS_Nueva_Italia_Mich_de_campo_Mez_SS.jpg)
Specimen Type: holotype Sex: m Institution: NMNH United States National Museum, Washington, DC, USA Photographer: Antonio Santos-Silva Collection Location: 98 km S of Nueva Italia, Michoacan, Mex 53315
|
_G_and_SS_NMNH_98kmS_Nueva_Italia_Mich_de_campo_Mez_SS.jpg)
Specimen Type: holotype Sex: m Institution: NMNH United States National Museum, Washington, DC, USA Photographer: Antonio Santos-Silva Collection Location: 98 km S of Nueva Italia, Michoacan, Mex 53316
|
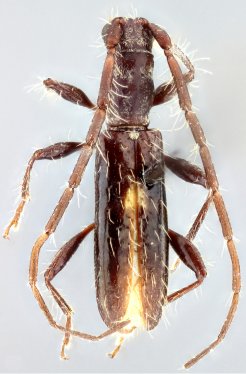
_G_and_SS_NMNH_98kmS_Nueva_Italia_Mich_de_campo_Mez_SS.jpg)
Specimen Type: holotype Sex: m Institution: NMNH United States National Museum, Washington, DC, USA Photographer: Antonio Santos-Silva Collection Location: 98 km S of Nueva Italia, Michoacan, Mex 53317
|
|