New Search Family, Subfamily and Tribe List

SubFamily Cerambycinae

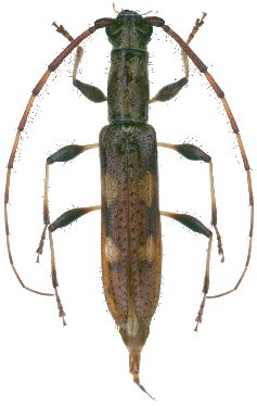
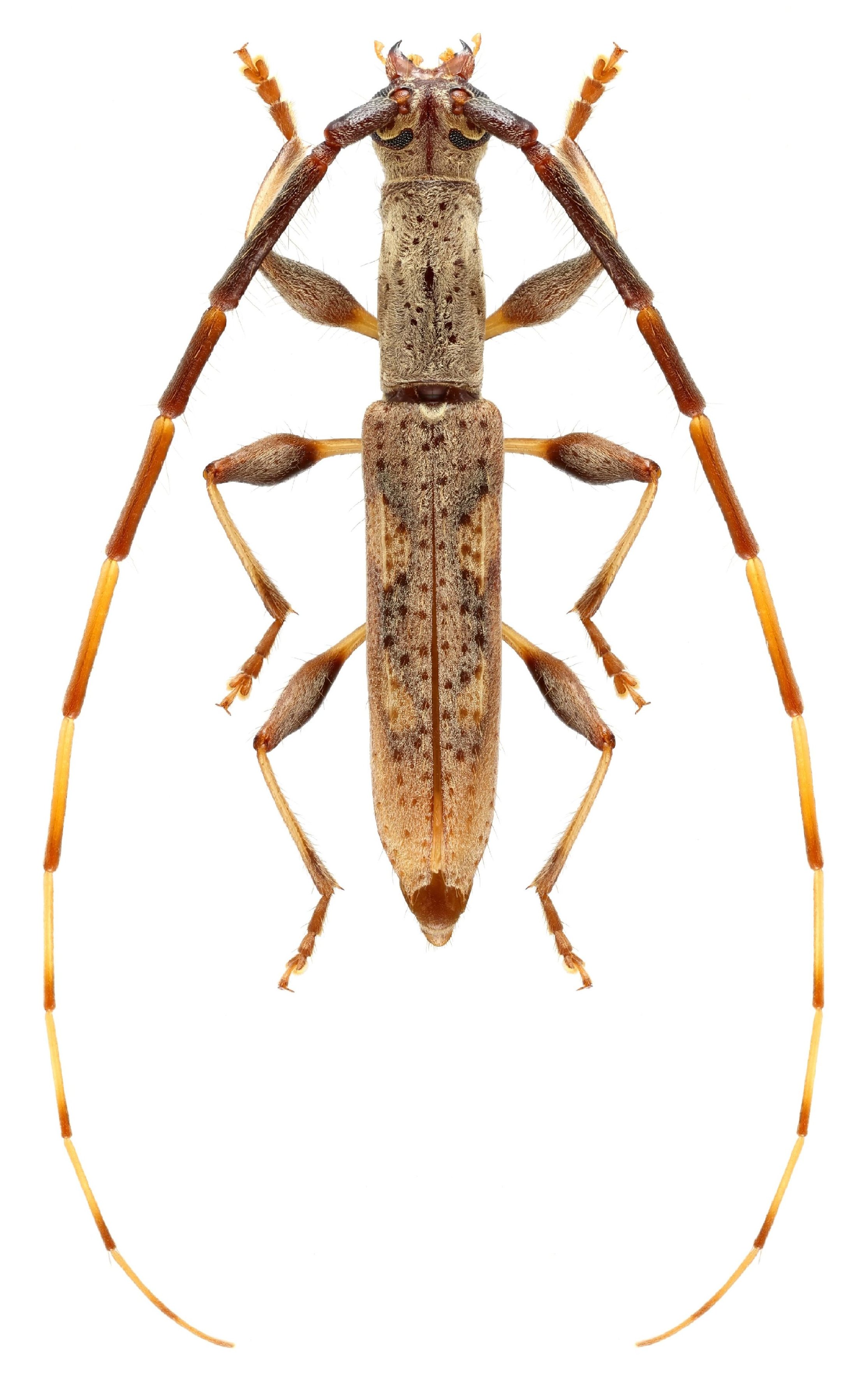
Tribe Tropidini Compsina
Neocompsa cylindricollis (Fabricius, 1798)

Sex: f
Photographer: Julien Touroult
Collection Location: Guadeloupe
23060


Sex: m
Photographer: Julien Touroult
Collection Location: Guadeloupe
23061


Sex: m
Photographer: Frédéric Robin
Collection Location: Scotts Head, St Mark, Dominica Island
90798


Photographer: Larry G. Bezark
10435

130425