_Martins_MNRJ_SWL.jpg)
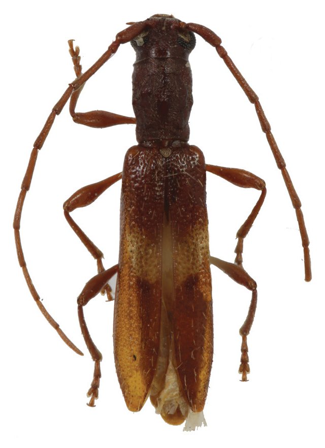
Specimen Type: holotype Sex: m Institution: MNRJ Museu Nacional Universidade do Rio Janeiro, Brazil Photographer: Steve Lingafelter Collection Location: Pôrto Alegre, Rio Grande do Sul, Brazil 9995
|
_Martins_MZSP_SS.jpg)
Specimen Type: paratype Sex: m Institution: MZSP Museu de Zoologia da Universidade de São Paulo, Brazil Photographer: Antonio Santos-Silva 48236
|
_Martins_Ceu_Azul_Parana_Brazil_Rafael_Barros_pic.jpg)
Sex: m Institution: MZUEL Museum of Zoology, State University of Londrina, Brazil Photographer: Rafael Barros Collection Location: Céu Azul, Paraná, Brazil 74413
|
|