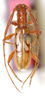
_Martins_MNRJ_SWL_=_Heterocompsa.jpg)
Compsa formosa Martins Specimen Type: holotype Sex: m Institution: MNRJ Museu Nacional Universidade do Rio Janeiro, Brazil Photographer: Steve Lingafelter Collection Location: Gran Guanhú (?), Formosa, Argentina 5989
|
_Paraguay_Dep_Boqueron_Mehl.jpg)
Photographer: Ole Mehl Collection Location: Department Boqueron, Paraguay 36798
|