New Search Family, Subfamily and Tribe List

SubFamily Cerambycinae

Tribe Tropidini Compsina
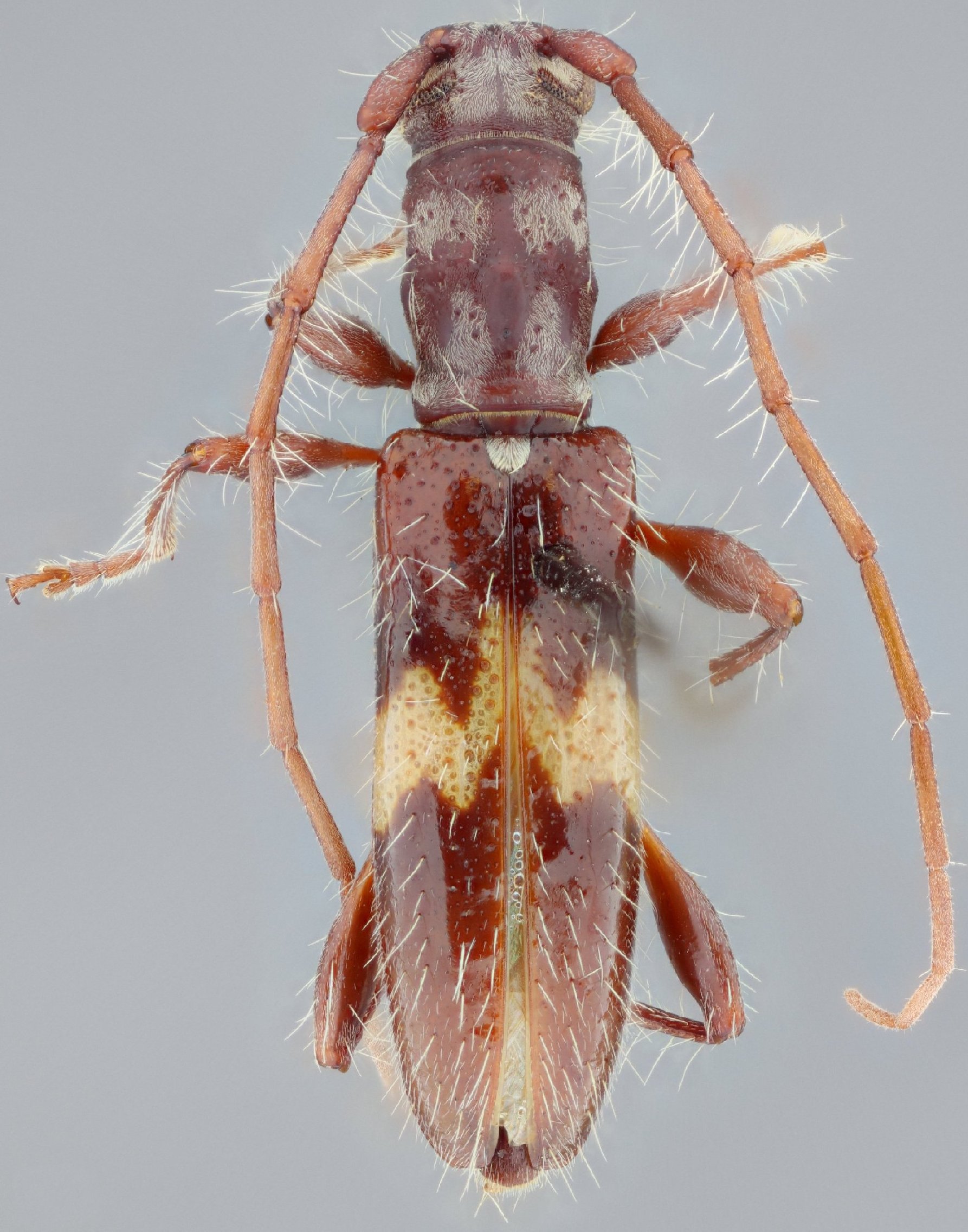
Heterachthes w-notatus Linsley 1935

Heterachthes w-notata Linsley
Specimen Type: holotype
Sex: m
Institution: CAS California Academy of Sciences, San Francisco, CA, USA
Photographer: Larry G. Bezark
Collection Location: Tejupilco, México (District of Temascaltepec), Mexico
20405


8378


Institution: LGBC Larry G. Bezark Collection, Sacramento, California, USA
Photographer: Larry G. Bezark
Determiner: Martins
Collection Location: 5 mi W Moctezuma Sonora, Mexico
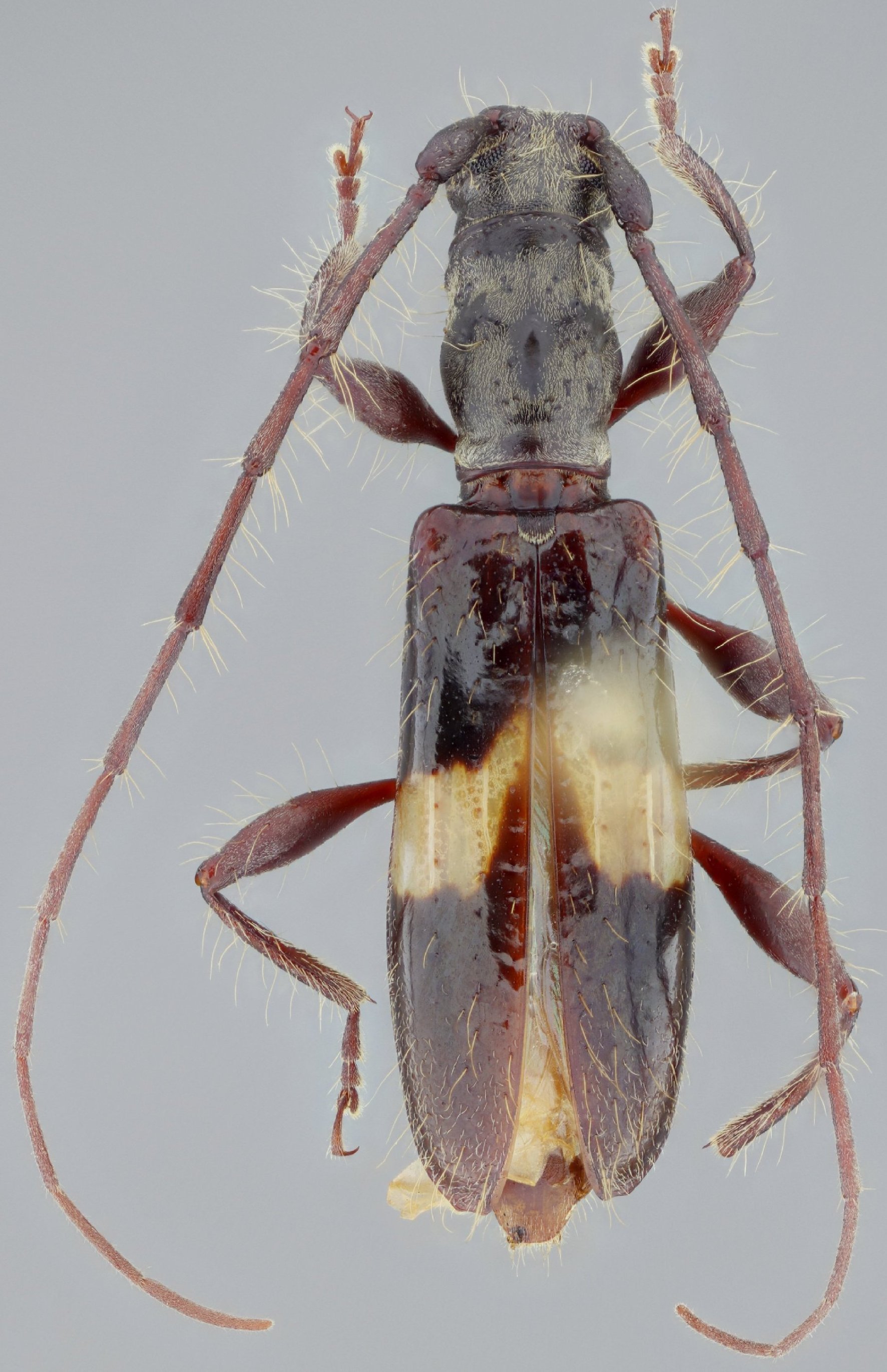
24656


Institution: LGBC Larry G. Bezark Collection, Sacramento, California, USA
Photographer: Larry G. Bezark
Determiner: Martins
Collection Location: 5 mi W Moctezuma Sonora, Mexico
24655


Institution: LGBC Larry G. Bezark Collection, Sacramento, California, USA
Photographer: Antonio Santos-Silva
Collection Location: 1 km S Hwy 190 road to Microondas, San Cristobal, Oaxaca_Mexico
70074


Institution: LGBC Larry G. Bezark Collection, Sacramento, California, USA
Photographer: Antonio Santos-Silva
Collection Location: Estacion Biologia Heloderma, vic El Arenal, Zacapa, Guatemala
70075


Institution: MZSP Museu de Zoologia da Universidade de São Paulo, Brazil
Photographer: Antonio Santos-Silva
Collection Location: Michoacan, Mexico
70076


Sex: m
Photographer: Antonio Santos-Silva
67285


Sex: m
Photographer: Antonio Santos-Silva
67286

130425