_Casey_USNM_=_quadrimaculatus.jpg)
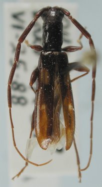
Heterachthes fluviatilis Casey Specimen Type: holotype Sex: m Institution: NMNH United States National Museum, Washington, DC, USA Determiner: Missouri 25936
|
_White_BMNH_nowHeterachthes_qudrimac_LGB.jpg)
Ibidion rotundipenne White Specimen Type: holotype Sex: f Institution: BMNH British Museum Natural History, London, UK Photographer: Larry G. Bezark 46905
|

Institution: FSCA Florida State Collection of Arthropods, Gainesville, FL, USA Photographer: Mike Thomas 1306
|

Photographer: Larry G. Bezark 3436
|
|