_Giesbert_23km_SE_Morales_Izabal_Guatemala_UCB.jpg)
Specimen Type: holotype Sex: m Institution: UCB Essig Museum of Entomology, Berkeley, California, USA Collection Location: 23km SE Morales, Izabal, Guatemala 16807
|
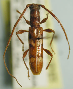
_Giesbert_23km_SE_Morales_Izabal_Guatemala_UCB.jpg)
Specimen Type: allotype Sex: f Institution: UCB Essig Museum of Entomology, Berkeley, California, USA Collection Location: 23km SE Morales, Izabal, Guatemala 16806
|
_Giesbert_Chiapas_Mexico_UCB.jpg)
Specimen Type: paratype Institution: UCB Essig Museum of Entomology, Berkeley, California, USA Photographer: Larry G. Bezark Collection Location: Chiapas, Mexico 8350
|
|