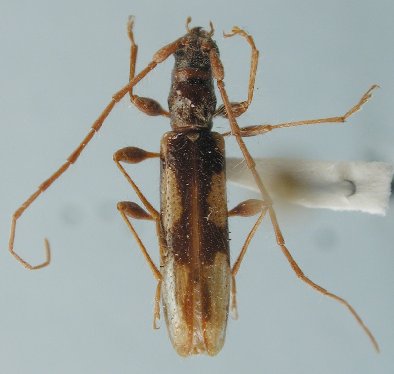
_Martins_CNC_JAC.jpg)
Specimen Type: holotype Sex: f Institution: CNC Canadian National Collection of Insects, Ottawa, Ontario, Canada Photographer: John Chemsak Collection Location: 6 miles South of Monterrey, Nuevo Leon, Mexico 16800
|
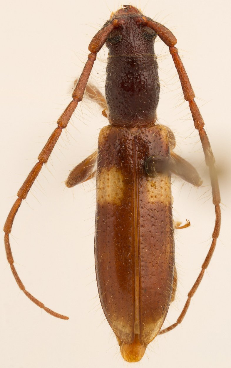
_Martins_CNC_6miS_Monterrey_NL_Mex_Laplante.jpg)
Specimen Type: holotype Sex: f Institution: CNC Canadian National Collection of Insects, Ottawa, Ontario, Canada Photographer: Serge Laplante, photograph and data Determiner: Copyright of
Agriculture & Agri Food Canada Collection Location: 6 miles South of Monterrey, Nuevo Leon, Mexico 62985
|
_Martins_CNC_6miS_Monterrey_NL_Mex_Laplante.jpg)
Specimen Type: holotype Sex: f Institution: CNC Canadian National Collection of Insects, Ottawa, Ontario, Canada Photographer: Serge Laplante, photograph and data Determiner: Copyright of
Agriculture & Agri Food Canada Collection Location: 6 miles South of Monterrey, Nuevo Leon, Mexico 62986
|
_Martins_CNC_6miS_Monterrey_NL_Mex_Laplante.jpg)
Specimen Type: holotype Sex: f Institution: CNC Canadian National Collection of Insects, Ottawa, Ontario, Canada Photographer: Serge Laplante, photograph and data Determiner: Copyright of
Agriculture & Agri Food Canada Collection Location: 6 miles South of Monterrey, Nuevo Leon, Mexico 62987
|
_Martins_CNC_6miS_Monterrey_NL_Mex_Laplante.jpg)
Specimen Type: holotype Sex: f Institution: CNC Canadian National Collection of Insects, Ottawa, Ontario, Canada Photographer: Serge Laplante, photograph and data Determiner: Copyright of
Agriculture & Agri Food Canada Collection Location: 6 miles South of Monterrey, Nuevo Leon, Mexico 62988
|
_Martins_Tamaulipas_Mexico_UCB.jpg)
Specimen Type: paratype Institution: UCB Essig Museum of Entomology, Berkeley, California, USA Photographer: Larry G. Bezark Collection Location: Tamaulipas, Mexico 8335
|

Photographer: Larry G. Bezark Determiner: Martins Collection Location: Chiapas, Mexico 25177
|

Photographer: Larry G. Bezark Determiner: Martins Collection Location: Chiapas, Mexico 25178
|

Institution: maybe this taxa Photographer: Larry G. Bezark Determiner: Martins Collection Location: Chiapas, Mexico 25179
|
|