_Bates_BMNH_Volcan_Chiriqui_Pan_nowHeterachthes_LGB.jpg)
Octoplon candidus Bates Specimen Type: holotype Sex: m Institution: BMNH British Museum Natural History, London, UK Photographer: Larry G. Bezark Collection Location: Volcan de Chiriqui, Panama 47118
|
.jpg)
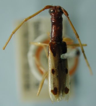
Institution: FTH Frank T. Hovore collection (now at California Academy of Sciences) Photographer: Larry G. Bezark Collection Location: Cerro Campana, Panama 8324
|