New Search Family, Subfamily and Tribe List

SubFamily Cerambycinae

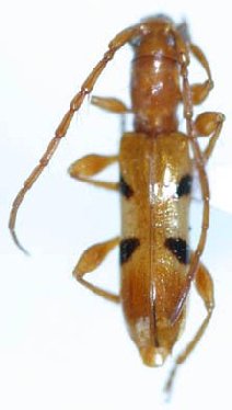
Tribe Tropidini Compsina
Engyum virgulatum (Bates, 1880)

Ibidion virgulatum Bates
Specimen Type: holotype
Sex: f
Institution: BMNH British Museum Natural History, London, UK
Photographer: Larry G. Bezark
Collection Location: El Zapote, Escuintla, Guatemala
46923


Photographer: Larry G. Bezark
7328


Photographer: Steve Lingafelter
Collection Location: Nicaragua
25862

130425