New Search Family, Subfamily and Tribe List

SubFamily Cerambycinae

Tribe Tropidini Compsina
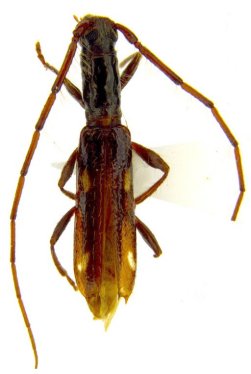
Dodecaibidion modestum Martins 1970

Specimen Type: holotype
Sex: m
Institution: MNHN Museum of Natural History Paris, France
Collection Location: Mineiros, Goias, Brazil
23421


Photographer: Francisco Nascimento
Collection Location: Bahia, Brazil
59606

130425