_Fairmaire_and_Germain_MNHN_FTH_=_Xenocompsa.jpg)
Compsa flavofasciatum Thomson Specimen Type: syntype Institution: MNHN Museum of Natural History Paris, France Collection Location: Bogota, Colombia 16695
|
 Muzo Region, Colombia det Audureau JCPC LGB.jpg)
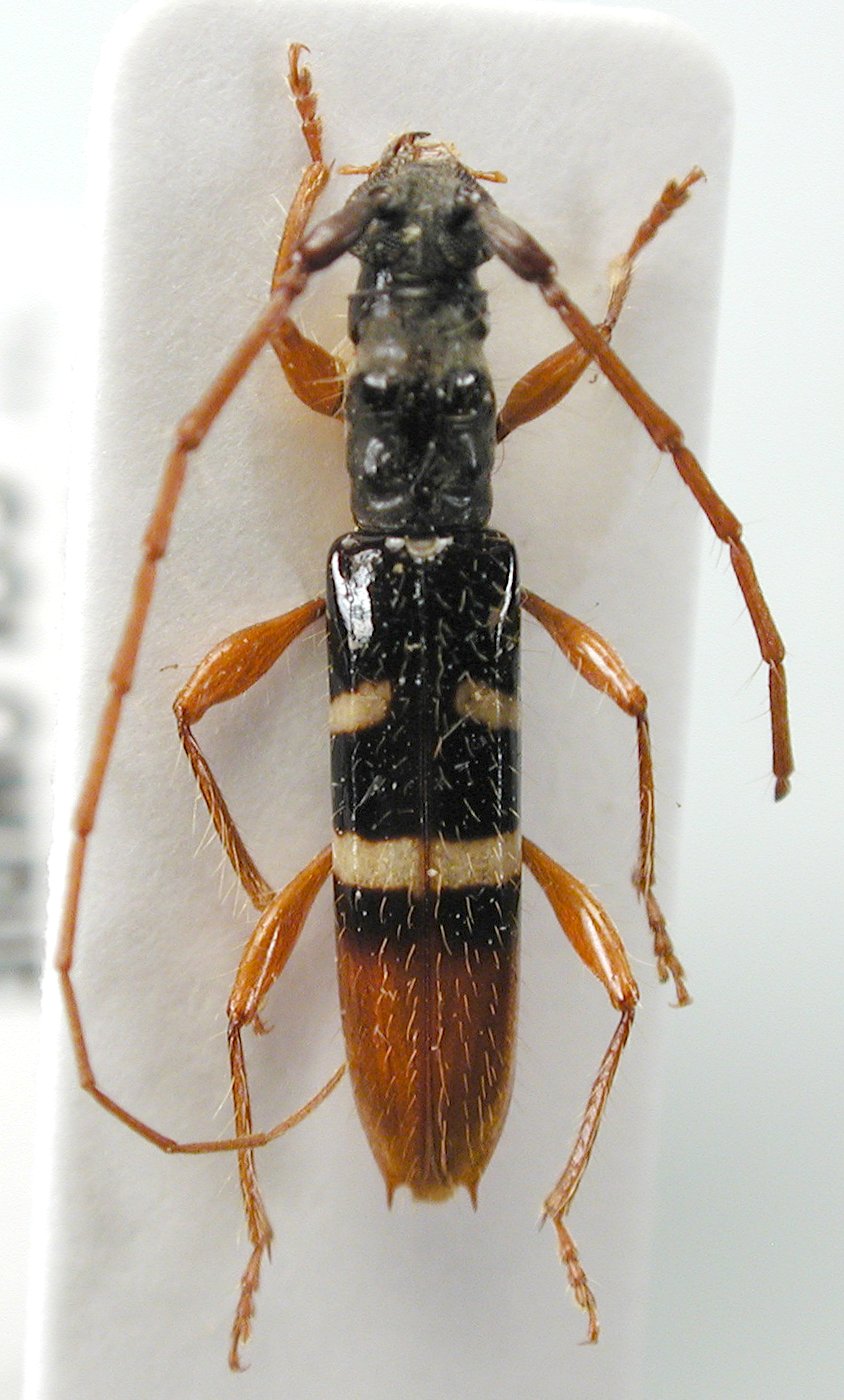
Institution: JCPC Jim Cope Collection, San Jose, California, USA now at CSCA, Sacramento Photographer: Larry G. Bezark Determiner: Alain Audureau Collection Location: Muzo Region, Colombia 98080
|
 Muzo Region, Colombia det Audureau JCPC LGB.jpg)
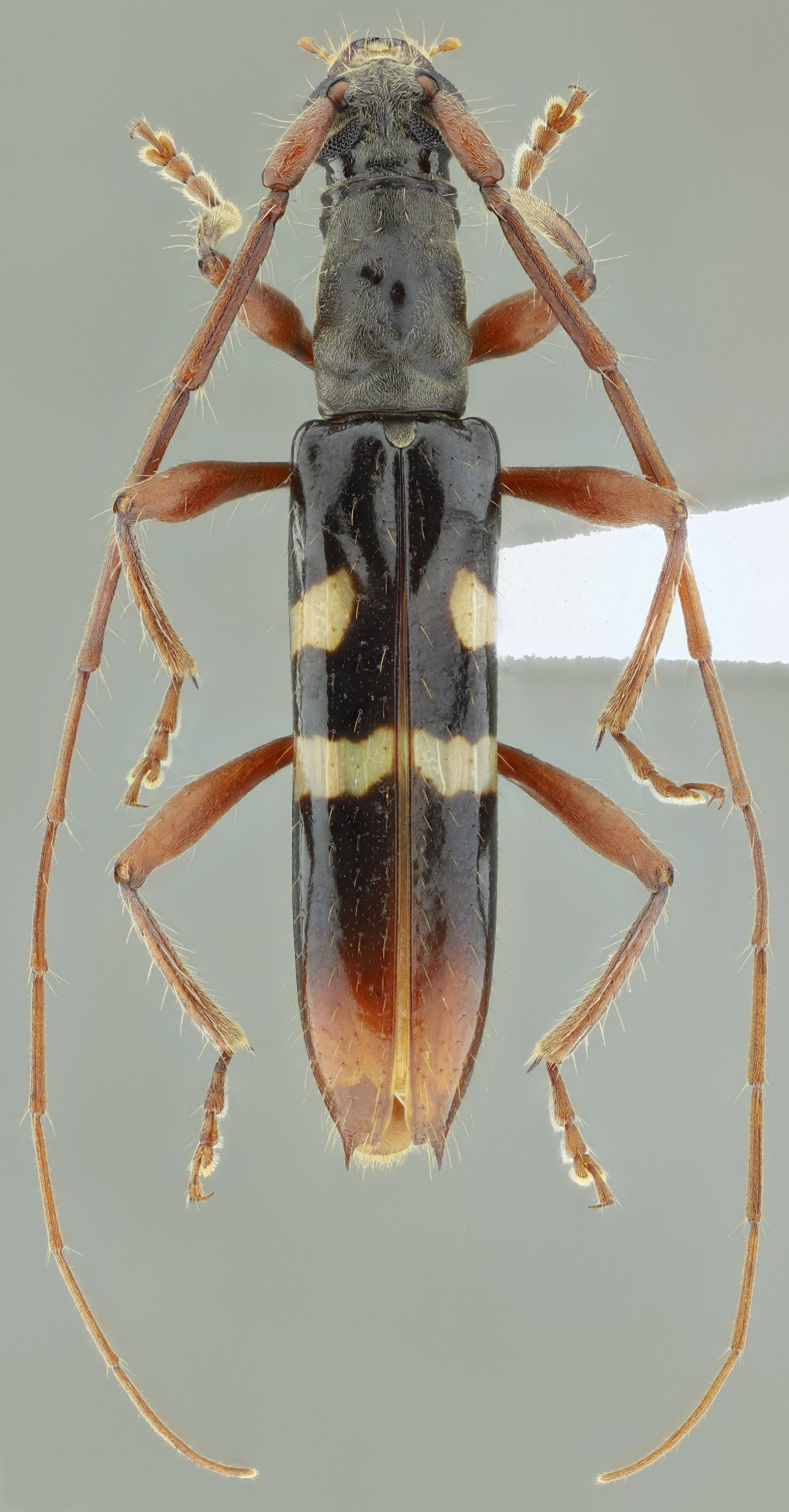
Institution: JCPC Jim Cope Collection, San Jose, California, USA now at CSCA, Sacramento Photographer: Larry G. Bezark Determiner: Alain Audureau Collection Location: Muzo Region, Colombia 98081
|
 (Thomson) Termas de Chachimbiro, Imbabura, Ecuador JVCO.jpg)
Sex: m Institution: Vlasak Collection Photographer: Antonio Santos-Silva Collection Location: Termas de Chachimbiro, Imbabura, Ecuador 98744
|
|