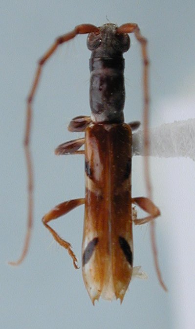
_White_BMNH_RioTapajos_Para_Brazil_nowCompsa_LGB.jpg)
Ibidion quadriguttatum White Specimen Type: holotype Institution: BMNH British Museum Natural History, London, UK Photographer: Larry G. Bezark Collection Location: Rio Tapajos, Para, Brazil 46904
|
_Fr_Guinea_Faure.jpg)
Photographer: Denis Faure Collection Location: French Guiana 28657
|
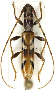
.jpg)
Institution: CAS California Academy of Sciences, San Francisco, CA, USA Photographer: Larry G. Bezark 5998
|
_Bolivia_Wappes_Photo.jpg)
Photographer: Jim Wappes Collection Location: Bolivia 5999
|

Institution: LGBC Larry G. Bezark Collection, Sacramento, California, USA Photographer: Larry G. Bezark Collection Location: Cerro Cora, Amambay, Paraguay 18893
|
|