_Bates_BMNH_SantoDomingo_Chontales_Nic_nowAsynapteron_LGB.jpg)
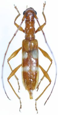
Octoplon glabriolum Bates Specimen Type: lectotype Sex: m Institution: BMNH British Museum Natural History, London, UK Photographer: Larry G. Bezark Collection Location: Santo Domingo, Chontales, Nicaragua 47119
|
_BCA.jpg)
Institution: BCA Biologia Centrali Americana 4790
|