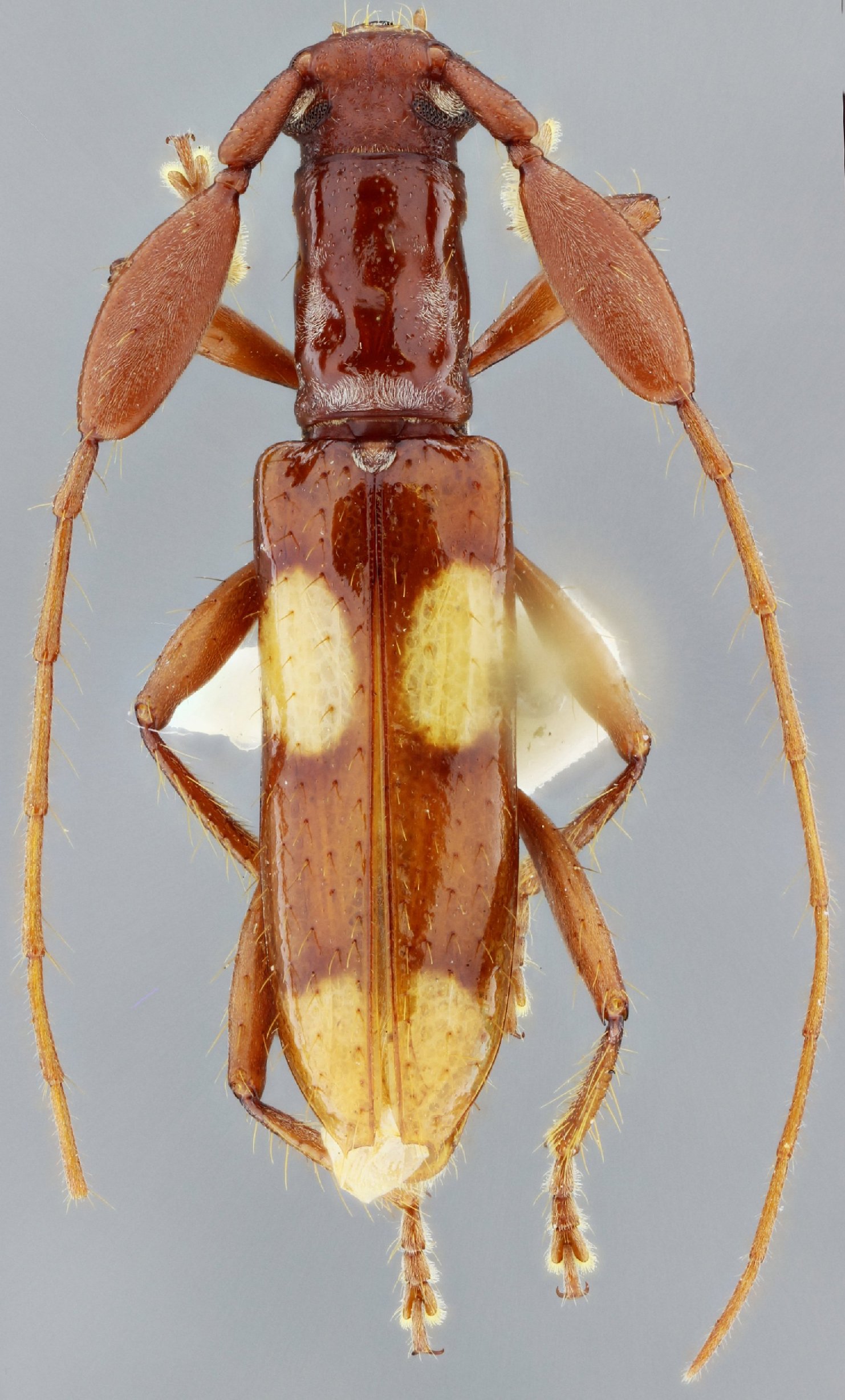
_Napp_and_Martins_MNRJ_SWL.jpg)
Specimen Type: holotype Sex: m Institution: MNRJ Museu Nacional Universidade do Rio Janeiro, Brazil Photographer: Steve Lingafelter Collection Location: Sinop, Mato Grosso, Brazil 7954
|
_Napp_Mart_Sinop_Mato_Grosso_Brazil_SS.jpg)
Specimen Type: paratype Sex: m Institution: MZSP Museu de Zoologia da Universidade de São Paulo, Brazil Photographer: Antonio Santos-Silva Collection Location: Sinop, Mato Grosso, Brazil 67867
|
_Napp_Mart_Sinop_Mato_Grosso_Brazil_SS.jpg)
Specimen Type: paratype Sex: m Institution: MZSP Museu de Zoologia da Universidade de São Paulo, Brazil Photographer: Antonio Santos-Silva Collection Location: Sinop, Mato Grosso, Brazil 67868
|
_Napp_Mart_Sinop_Mato_Grosso_Brazil_SS.jpg)
Specimen Type: paratype Sex: m Institution: MZSP Museu de Zoologia da Universidade de São Paulo, Brazil Photographer: Antonio Santos-Silva Collection Location: Sinop, Mato Grosso, Brazil 67869
|
_Napp_Mart_Sinop_Mato_Grosso_Brazil_SS.jpg)
Specimen Type: paratype Sex: m Institution: MZSP Museu de Zoologia da Universidade de São Paulo, Brazil Photographer: Antonio Santos-Silva Collection Location: Sinop, Mato Grosso, Brazil 67870
|
|