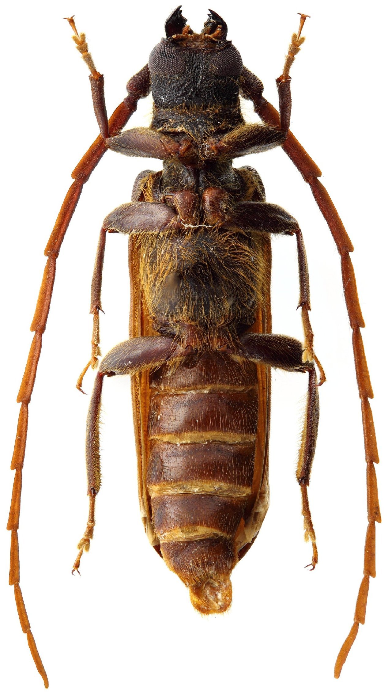
_Bouyer_IRSNB_Mt_Oku_Cameroon_J_Pirkl_pic5.jpg)
Specimen Type: holotype Sex: m Institution: RBINS Royal Belgian Institute of Natural Sciences, Brussels, Belgium Photographer: J Pirkl Collection Location: Mt Oku, Cameroon 65378
|
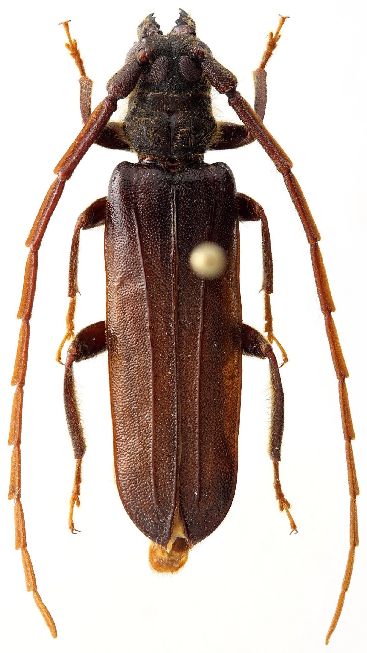
_Bouyer_IRSNB_Mt_Oku_Cameroon_J_Pirkl_pic5.jpg)
Specimen Type: holotype Sex: m Institution: RBINS Royal Belgian Institute of Natural Sciences, Brussels, Belgium Photographer: J Pirkl Collection Location: Mt Oku, Cameroon 65379
|
_Bouyer_IRSNB_Mt_Oku_Cameroon_J_Pirkl_pic5.jpg)
Specimen Type: holotype Sex: m Institution: RBINS Royal Belgian Institute of Natural Sciences, Brussels, Belgium Photographer: J Pirkl Collection Location: Mt Oku, Cameroon 65380
|
_Bouyer_IRSNB_Mt_Oku_Cameroon_J_Pirkl_pic5.jpg)
Specimen Type: holotype Sex: m Institution: RBINS Royal Belgian Institute of Natural Sciences, Brussels, Belgium Photographer: J Pirkl Collection Location: Mt Oku, Cameroon 65381
|
|