
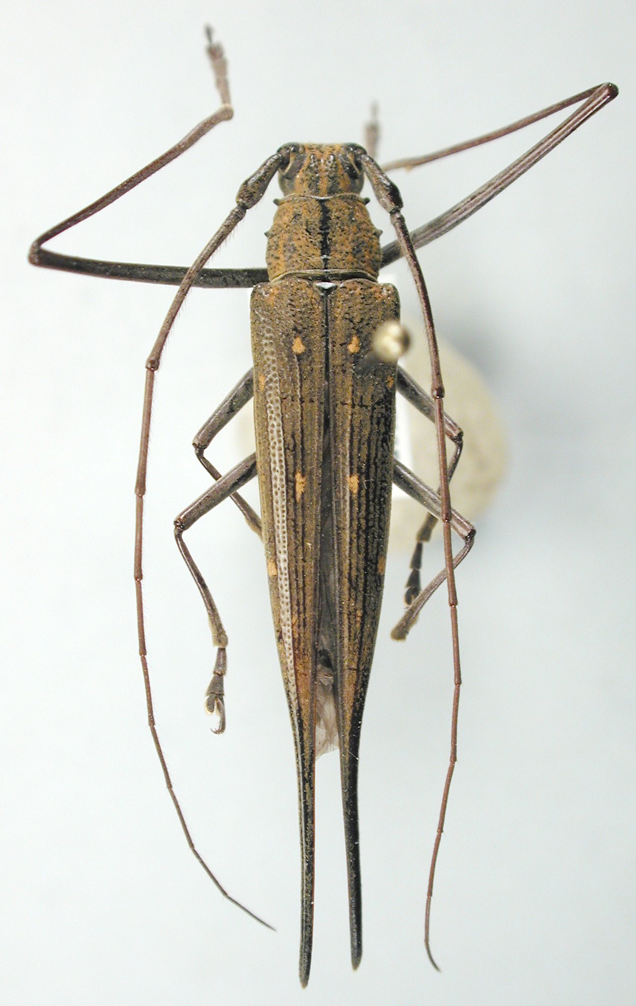
Institution: JCPC Jim Cope Collection, San Jose, California, USA now at CSCA, Sacramento Photographer: Larry G. Bezark Determiner: Jim Cope Collection Location: E Visayas, Hinabangan, Samar, Philippines 98143
|

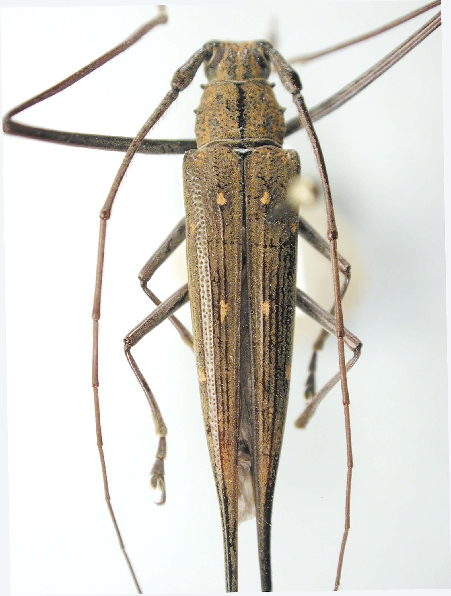
Institution: JCPC Jim Cope Collection, San Jose, California, USA now at CSCA, Sacramento Photographer: Larry G. Bezark Determiner: Jim Cope Collection Location: E Visayas, Hinabangan, Samar, Philippines 98144
|