_Breuning_BPBM_Nobuo_Ohbay.jpg)
Specimen Type: holotype Sex: m Institution: BPBM Bernice P. Bishop Museum, Honolulu, Hawaii, USA Photographer: Nobuo Ohbayashi Collection Location: Thakhek, Laos 44619
|
_Breuning_BPBM_Nobuo_Ohbay.jpg)
Specimen Type: holotype Sex: m Institution: BPBM Bernice P. Bishop Museum, Honolulu, Hawaii, USA Photographer: Nobuo Ohbayashi Collection Location: Thakhek, Laos 44621
|
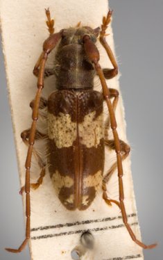
_Breuning_BPBM_Nobuo_Ohbay.jpg)
Specimen Type: holotype Sex: m Institution: BPBM Bernice P. Bishop Museum, Honolulu, Hawaii, USA Photographer: Nobuo Ohbayashi Collection Location: Thakhek, Laos 44620
|
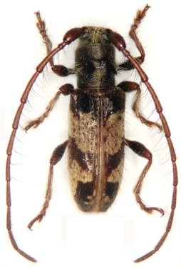
 Breuning Oudomxay Province, Laos XG.jpg)
Sex: m Photographer: Xavier Gouverneur, Cerambycoidea Forum Collection Location: Oudomxay Province, Laos 79667
|

Photographer: Gino Nearns 48261
|
 Breuning Oudomxay Province, Laos XG.jpg)
Sex: f Photographer: Xavier Gouverneur, Cerambycoidea Forum Collection Location: Oudomxay Province, Laos 79666
|

Institution: CAS California Academy of Sciences, San Francisco, CA, USA Photographer: Larry G. Bezark 48262
|

Photographer: Meiying Lin 42795
|

Photographer: Pacific Insects Monograph 48260
|
|