New Search Family, Subfamily and Tribe List

SubFamily Cerambycinae

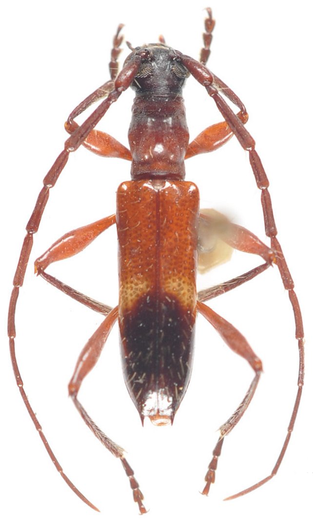
Tribe Tropidini Neoibidionina
Compsibidion divisum Martins 1969

Institution: MNRJ Museu Nacional Universidade do Rio Janeiro, Brazil
Photographer: Marcela Monne
Collection Location: Serro do Caraca, Minas Gerais, Brazil
62311

130425