
Photographer: Meiying Lin 42970
|

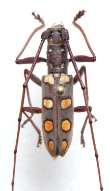
Photographer: Xavier Gouverneur, Cerambycoidea Forum Collection Location: Hua Phan, Xam Nuea, N Laos 55084
|

Photographer: Xavier Gouverneur, Cerambycoidea Forum Collection Location: Hua Phan, Xam Nuea, N Laos 55085
|

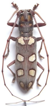
Institution: CAS California Academy of Sciences, San Francisco, CA, USA Photographer: Larry G. Bezark 55086
|
|