_Villiers_Akinlou_Kurdistan_Iran_NMNH_L-ent.jpg)
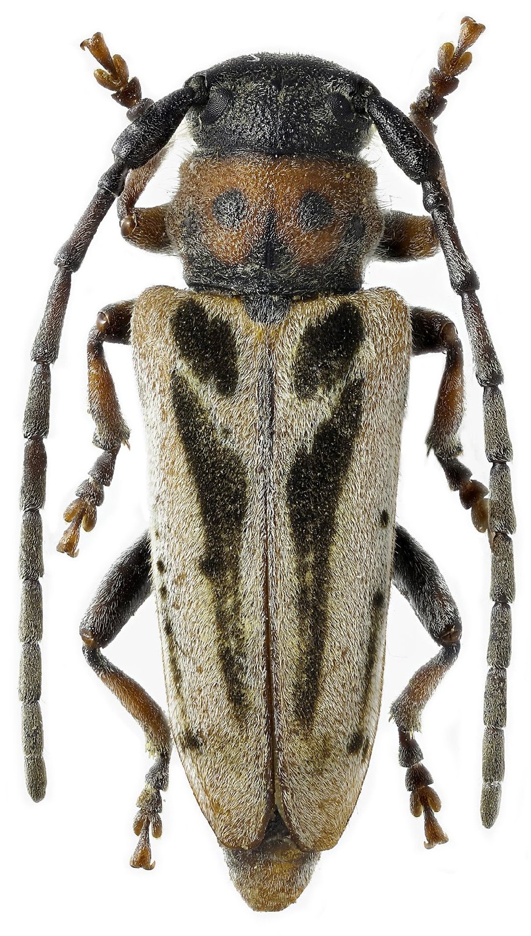
Helladia iranica Villiers Specimen Type: holotype Sex: f Institution: MNHN Museum of Natural History Paris, France Determiner: Annales de la Société Entomologique de France Collection Location: Akinlu, Kurdistan, Iran 50806
|

Photographer: Denis Kasatkin Collection Location: 5 km SW Choghab Dar Village, Dorud County, Lorestan Province W Iran 81819
|