New Search Family, Subfamily and Tribe List

SubFamily Lamiinae

Tribe Saperdini
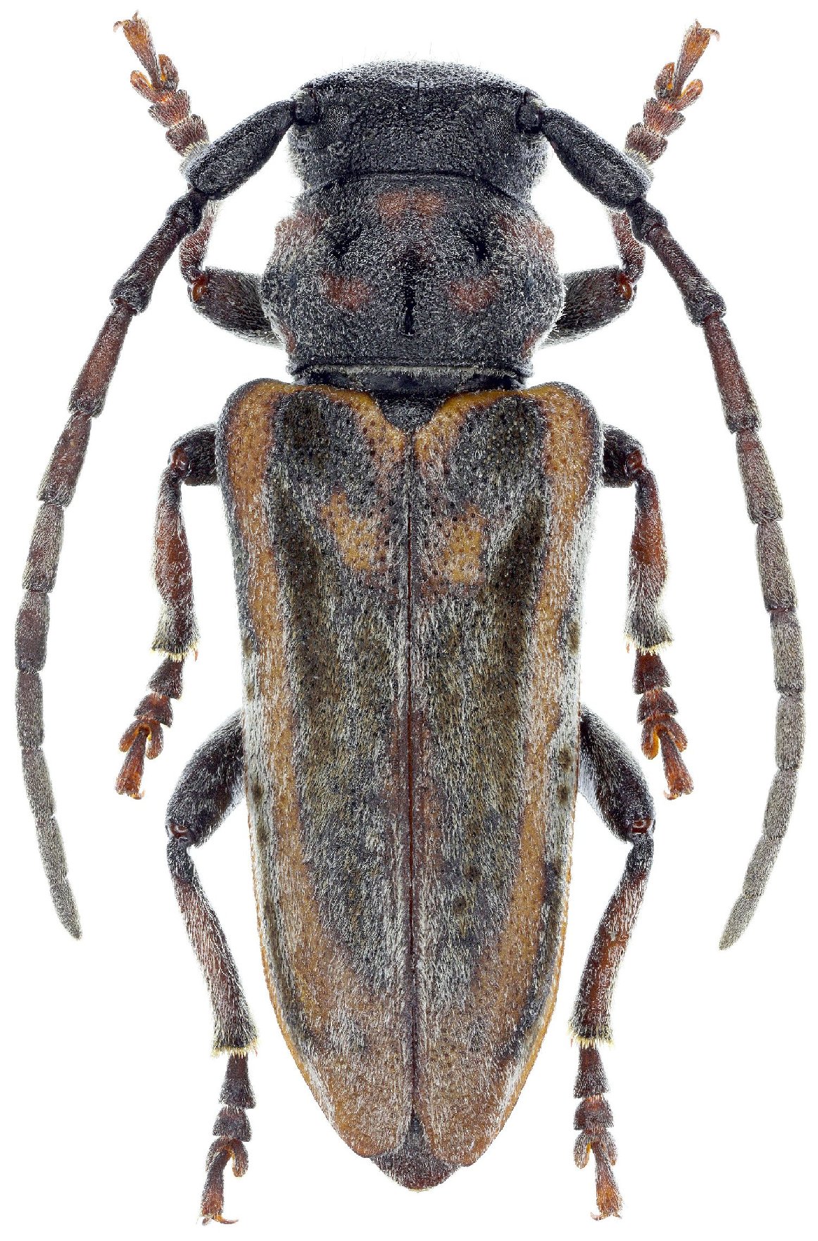
Phytoecia testaceovittata natali Lobanov 1994

Specimen Type: holotype
Sex: m
Institution: ZIN Russian Academy of Sciences, Zoological Institute, St. Petersburg, Russia
Photographer: Sergei Kakunin
Collection Location: 14 km W Kilyazi, Absheron District, Azerbaijan
81820

130425