
Institution: IRSNB Royal Belgian Institute of Natural Sciences, Brussels, Belgium Photographer: Noel Mal Collection Location: Kurseong, West Bengal, India 55497
|
_(Westwood)_Francesco.jpg)
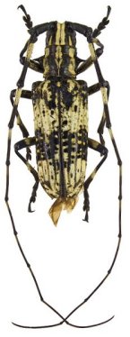
Monohammus westwoodii Westwood Photographer: Francesco Vitali, Cerambycoidea Forum Determiner: Cabinet of Oriental Entomology Collection Location: Himalayas 56151
|
 Yen Bai Province, Vietnam LGB det GC.jpg)
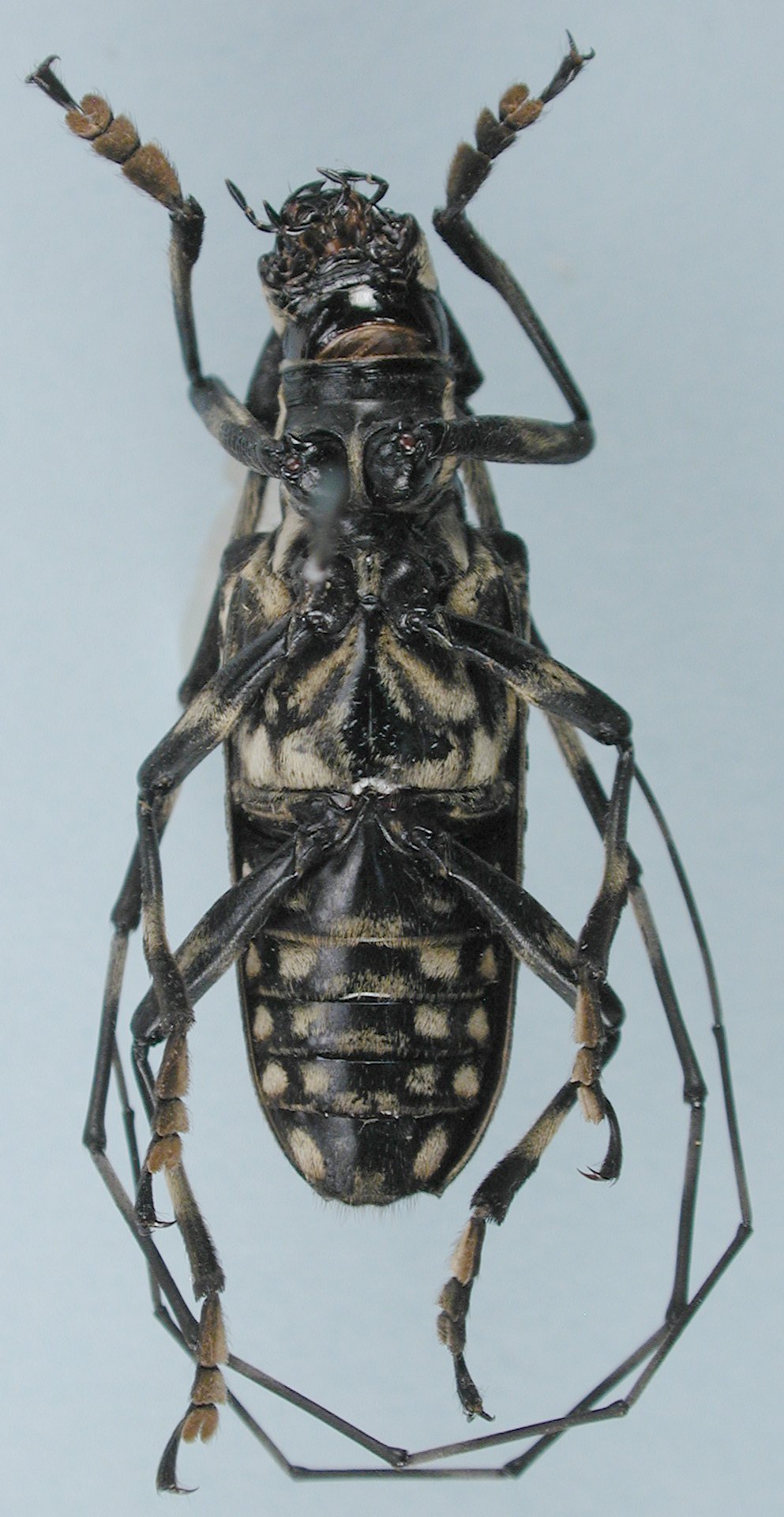
Institution: LGBC Larry G. Bezark Collection, Sacramento, California, USA Photographer: Larry G. Bezark Determiner: Gerard Chemin, Cerambycoidea Forum Collection Location: Yen Bai Province, Vietnam 89417
|
 (Westwood) Yen Bai Province, Vietnam LGB det GC.jpg)
Institution: LGBC Larry G. Bezark Collection, Sacramento, California, USA Photographer: Larry G. Bezark Determiner: Gerard Chemin, Cerambycoidea Forum Collection Location: Yen Bai Province, Vietnam 89418
|
(Westwood) Yen Bai Province, Vietnam LGB det GC.jpg)
Institution: LGBC Larry G. Bezark Collection, Sacramento, California, USA Photographer: Larry G. Bezark Determiner: Gerard Chemin, Cerambycoidea Forum Collection Location: Yen Bai Province, Vietnam 89419
|
_Darjeeling_Cope.jpg)
Photographer: Jim Cope Collection Location: Darjeeling, India 56152
|
|