_Wang_Chiang_SAUC_Wuzhi_Mtn_Hainan_Isl_China_Li_Chen_pic.jpg)
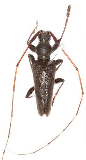
Specimen Type: holotype Sex: m Institution: SAUC Insect Collection of the Southwest Agricultural University, Chongqing, China Photographer: Li & Chen Collection Location: Wuzhi Mtn, Hainan Island, China 70488
|
_Wang_Chiang_SAUC_Wuzhi_Mtn_Hainan_Isl_China_Li_Chen_pic.jpg)
Specimen Type: holotype Sex: m Institution: SAUC Insect Collection of the Southwest Agricultural University, Chongqing, China Photographer: Li & Chen Collection Location: Wuzhi Mtn, Hainan Island, China 70489
|