_Martins_MNRJ_SWL_=_Minibidion.jpg)
Ibidion minusculum Martins Specimen Type: holotype Sex: m Institution: MNRJ Museu Nacional Universidade do Rio Janeiro, Brazil Photographer: Steve Lingafelter Collection Location: Loreto, Misiones, Argentina 8660
|
_Paraguay_Dep_Caazapa_Mehl.jpg)
Photographer: Ole Mehl Collection Location: Department Caazapa, Paraguay 36832
|
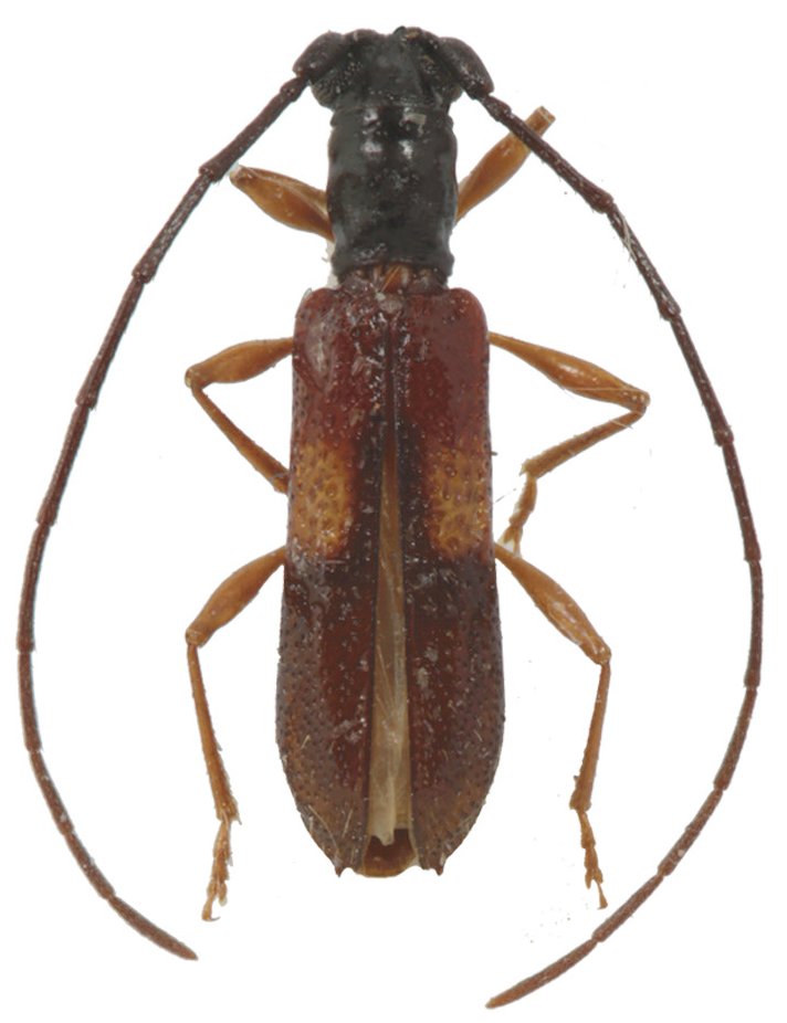
_(Martins)_Ceu_Azul_Parana_Brazil_Rafael_Barros_pic.jpg)
Sex: m Institution: MZUEL Museum of Zoology, State University of Londrina, Brazil Photographer: Rafael Barros Collection Location: Céu Azul, Paraná, Brazil 74415
|
|