
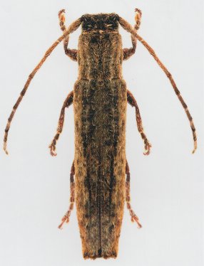
Specimen Type: holotype Institution: BMNH British Museum Natural History, London, UK Photographer: Slipinski & Escalona Collection Location: north of Sydney, New South Wales, Australia 53255
|

Photographer: Slipinski & Escalona Collection Location: introduced into Australia 55795
|