 Mt Yamahadeka, Okinawa, Japan LGB.jpg)
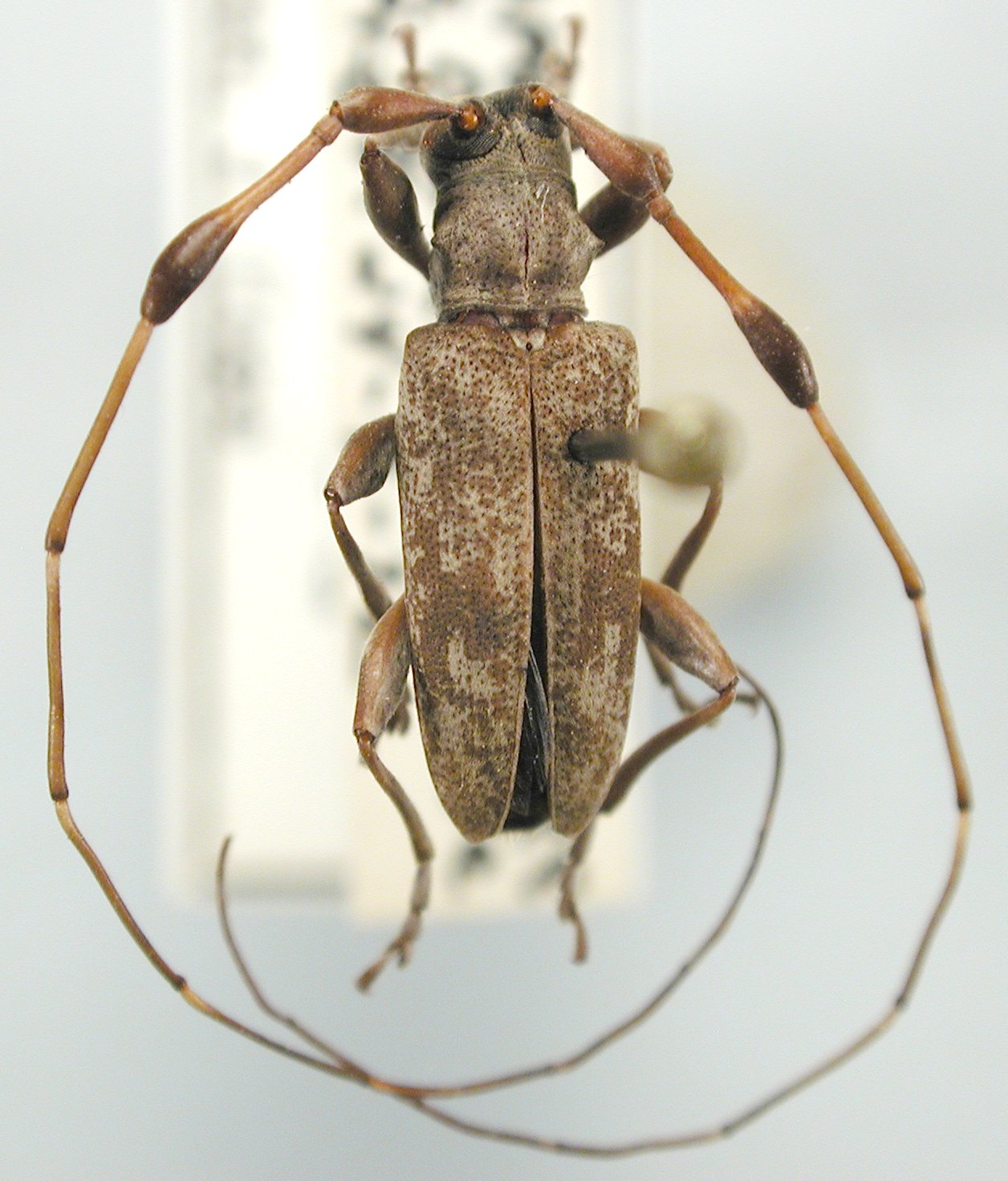
Institution: JCPC Jim Cope Collection, San Jose, California, USA now at CSCA, Sacramento Photographer: Larry G. Bezark Determiner: Jim Cope Collection Location: Mt Yamahadeka, Okinawa, Japan 99746
|
 Mt Yonghadoke, Okinawa Prefecture, Japan JCPC LGB.jpg)
Institution: JCPC Jim Cope Collection, San Jose, California, USA now at CSCA, Sacramento Photographer: Larry G. Bezark Determiner: Jim Cope Collection Location: Mt Yamahadeka, Okinawa, Japan 99747
|