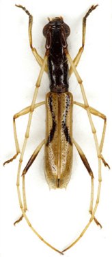
_White_BMNH_Tapajos_Para_Brazil_nowGnomidolon_LGB.jpg)
Ibidion simplex White Specimen Type: lectotype Sex: f Institution: BMNH British Museum Natural History, London, UK Photographer: Larry G. Bezark Collection Location: Rio Tapajos, Para, Brazil 46912
|
_Fr_Guinea_Faure.jpg)
Photographer: Denis Faure Collection Location: French Guiana 28796
|

Photographer: Jean-Louis Giuglaris Collection Location: Matoury, French Guiana 28797
|
_Det_Tavakilian_Guyana_UCB.jpg)
Institution: UCB Essig Museum of Entomology, Berkeley, California, USA Photographer: Larry G. Bezark Determiner: Tavakilian Collection Location: Guyana 8035
|
|