New Search Family, Subfamily and Tribe List

SubFamily Lamiinae

Tribe Acrocinini
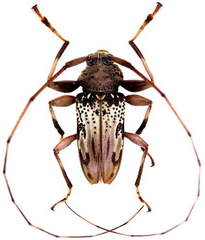
Oreodera feuilleti Neouze & Tavakilian 2010

Specimen Type: paratype
Sex: m
Photographer: Tavakilian, Coleopteres
Collection Location: French Guiana
28499


Photographer: Jean-Louis Giuglaris
Collection Location: Kaw, French Guiana
68100

130425