_2kmSW_from_Bezlyudovka_Kharkov_reg_NE_Ukraine_Slutsky.jpg)
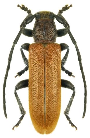
Sex: m Photographer: Aleksandr Slutsky Collection Location: 2 km SW from Bezlyudovka, Kharkov region, NE Ukraine 75343
|
_Goynuk village_Antalya_Prov_Turkey_Slutsky.jpg)
Sex: f Photographer: Aleksandr Slutsky Collection Location: Goynuk village, Antalya Province, Turkey 75344
|

Institution: LGBC Larry G. Bezark Collection, Sacramento, California, USA Photographer: Larry G. Bezark Collection Location: Riols, Herault, France 31715
|
_Rostov_Region_Razdorskaya_Kasatkin.jpg)
Photographer: Denis Kasatkin Collection Location: Rostov Region, Razdorskaya, Russia 31716
|
|