New Search Family, Subfamily and Tribe List

SubFamily Cerambycinae

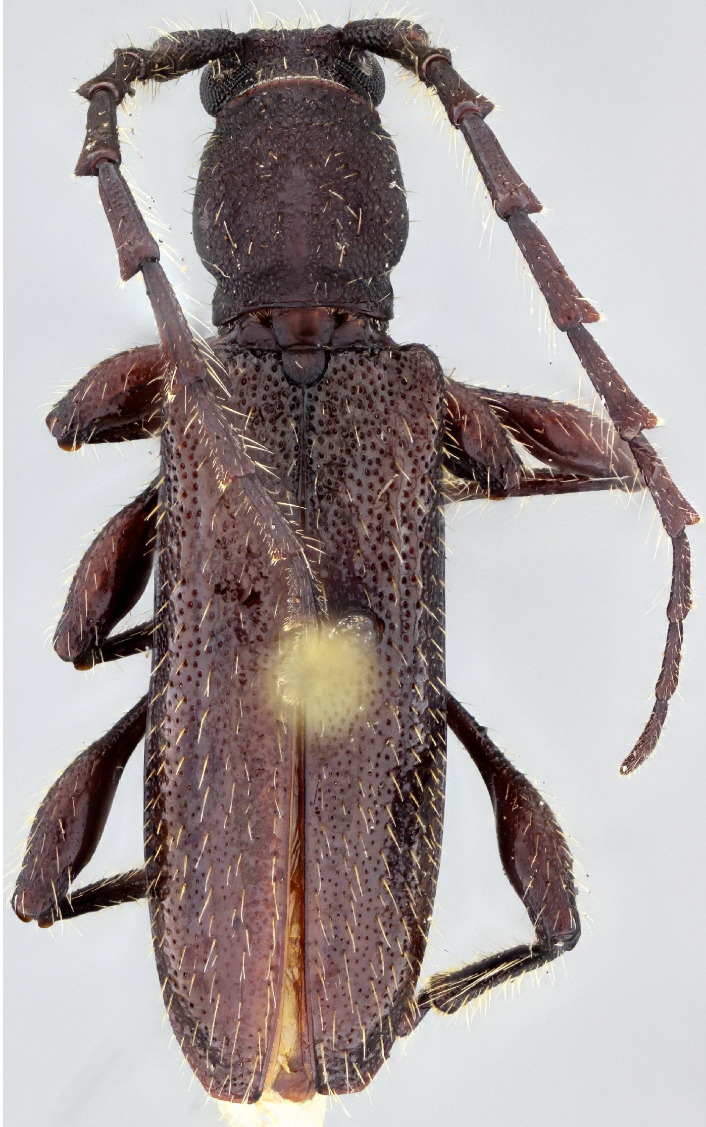
Tribe Piezocerini Piezocerina
Gorybia proxima Martins 1976

Specimen Type: holotype
Sex: m
Institution: MZSP Museu de Zoologia da Universidade de São Paulo, Brazil
Photographer: Antonio Santos-Silva
Collection Location: Itu, Fazenda Pau d'Alho, Sao Paolo, Brazil
68613


Specimen Type: paratype
Sex: f
21354

130425