New Search Family, Subfamily and Tribe List

SubFamily Cerambycinae

Tribe Hesperophanini
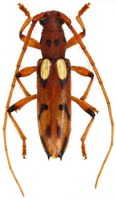
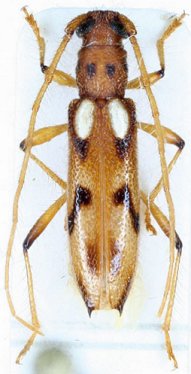
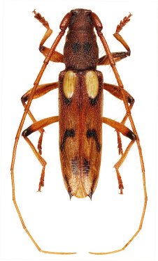
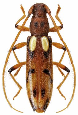
Hespereburia blancheti Dalens &Tavakilian 2009

Specimen Type: paratype
Sex: f
Collection Location: French Guiana
27617


Specimen Type: paratype
Sex: m
Collection Location: French Guiana
27618


Photographer: Denis Faure
Collection Location: French Guiana
28810


Photographer: Jean-Louis Giuglaris
Collection Location: Kaw, French Guiana
28811

130425