New Search Family, Subfamily and Tribe List

SubFamily Lamiinae

Tribe Apomecynini
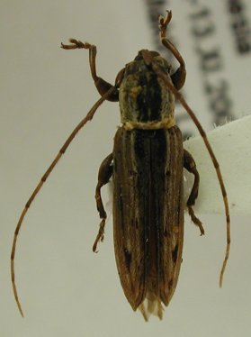
Sybra vitticollis Breuning & deJong 1941

Institution: LIPI Lembaga Ilmu Pengetahuan, Bogor, Indonesia
Photographer: Larry G. Bezark
Determiner: Makihara
Collection Location: Bukit Bangkirai, Kalimantan, Indonesia
44362

130425