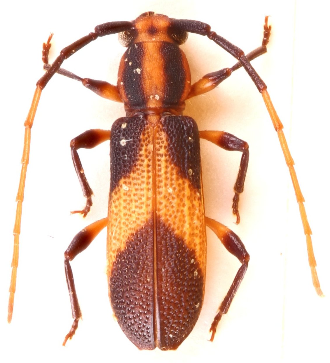
_White_BMNH_Para_Brazil_nowHaruspex_LGB.jpg)
Piezocera bivittis White Specimen Type: holotype Institution: BMNH British Museum Natural History, London, UK Photographer: Larry G. Bezark Collection Location: Para, Brazil 47232
|
_White_BMNH_Para_Brazil_nowHaruspex_LGB.jpg)
Piezocera bivittis White Specimen Type: holotype Institution: BMNH British Museum Natural History, London, UK Photographer: Larry G. Bezark Collection Location: Para, Brazil 47233
|
_Melzer_Costa_Rica_USNM_SWL_=_Haruspex_bivittis_agnatus.jpg)
Haruspex agnatus Melzer Specimen Type: holotype Institution: NMNH United States National Museum, Washington, DC, USA Photographer: Steve Lingafelter Collection Location: Golfo Dulce Sándolo, Puntarenas, Costa Rica 8180
|
_Melzer_Costa_Rica_USNM_SWL_=_Haruspex_bivittis_agnatus.jpg)
Haruspex agnatus Melzer Specimen Type: holotype Institution: NMNH United States National Museum, Washington, DC, USA Photographer: Steve Lingafelter Collection Location: Golfo Dulce Sándolo, Puntarenas, Costa Rica 8181
|
 Bates MNHN Santarem, Para, Brazil Christophe Rivier pic.jpg)
Haruspex ornatus Bates Specimen Type: holotype Sex: m Institution: MNHN Museum of Natural History Paris, France Photographer: Christophe Rivier Collection Location: Santarem, Para, Brazil 90113
|
 Bates MNHN Santarem, Para, Brazil Christophe Rivier pic.jpg)
Haruspex ornatus Bates Specimen Type: holotype Sex: m Institution: MNHN Museum of Natural History Paris, France Photographer: Christophe Rivier Collection Location: Santarem, Para, Brazil 90114
|
 Bates MNHN Santarem, Para, Brazil Christophe Rivier pic.jpg)
Haruspex ornatus Bates Specimen Type: holotype Sex: m Institution: MNHN Museum of Natural History Paris, France Photographer: Christophe Rivier Collection Location: Santarem, Para, Brazil 90115
|

Haruspex bivittis pallidus Gounelle 21948
|
_ Parq_Nac_Cerro_Cora_Amambay_Paraguay.jpg)
Institution: LGBC Larry G. Bezark Collection, Sacramento, California, USA Photographer: Larry G. Bezark Collection Location: Parque Nacional Cerro Cora, Amambay, Paraguay 68565
|
_ Parq_Nac_Cerro_Cora_Amambay_Paraguay.jpg)
Institution: LGBC Larry G. Bezark Collection, Sacramento, California, USA Photographer: Larry G. Bezark Collection Location: Parque Nacional Cerro Cora, Amambay, Paraguay 68566
|
 (White) Playa Blanca, Farallon, Panama Audureau.jpg)
Sex: m Photographer: Alain Audureau Collection Location: Playa Blanca, Farallon, Panama 96137
|
 (White) Quito, Pichincha, Ecuador Audureau.jpg)
Sex: m Photographer: Alain Audureau Collection Location: Quito, Pichincha, Ecuador 96138
|
 (White) MNHN IRD Center, Cayenne, French Guiana Audureau.jpg)
Sex: m Photographer: Alain Audureau Collection Location: IRD Center, Cayenne, French Guiana 96139
|
 (White) MNHN Ferme Vidal, French Guiana Audureau.jpg)
Sex: m Photographer: Alain Audureau Collection Location: Ferme Vidal, French Guiana 96140
|
_Bolivia_Wappes_Photo.jpg)
Photographer: Jim Wappes Collection Location: Bolivia 8183
|
_Bolivia_Wappes_Photo.jpg)
Photographer: Jim Wappes Collection Location: Bolivia 8185
|
 White French Guiana Tava.jpg)
Sex: m Photographer: Gerard Tavakilian Collection Location: French Guiana 8186
|
 White French Guiana Tava.jpg)
Sex: f Photographer: Gerard Tavakilian Collection Location: French Guiana 89979
|
_as_Haruspex_inermis.jpg)
Haruspex inermis (White) Determiner: Arquivos Zoologia Collection Location: Tingo Maria, Peru 8182
|