_Pascoe_BMNH_Aru_Island_now_Sybra.jpg)
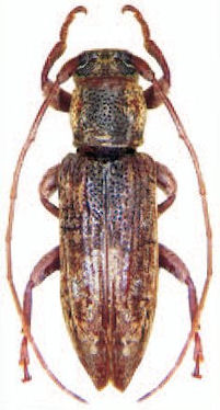
Specimen Type: holotype Sex: f Institution: BMNH British Museum Natural History, London, UK Determiner: Vernate Collection Location: Aru Island, Indonesia 60334
|

Sybra luteicornis Pascoe Photographer: Udo Schmidt Collection Location: Dorey, Papua New Guinea 62783
|