_Br_BMNH_Balangoda_Sri_Lanka_now_praeusta_Schmidt.jpg)
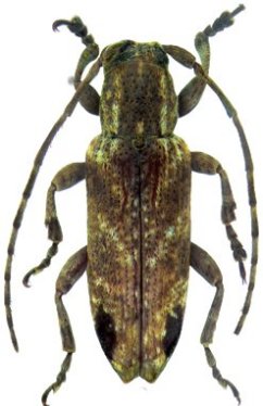
Sybra ceylonensis Breuning Specimen Type: holotype Sex: m Institution: BMNH British Museum Natural History, London, UK Photographer: Udo Schmidt Collection Location: Balangoda, Sri Lanka 62728
|
_Pascoe_BMNH_Ceylon_now_Sybra.jpg)
Specimen Type: holotype Sex: f Institution: BMNH British Museum Natural History, London, UK Determiner: Vernate Collection Location: Sri Lanka 60328
|