New Search Family, Subfamily and Tribe List

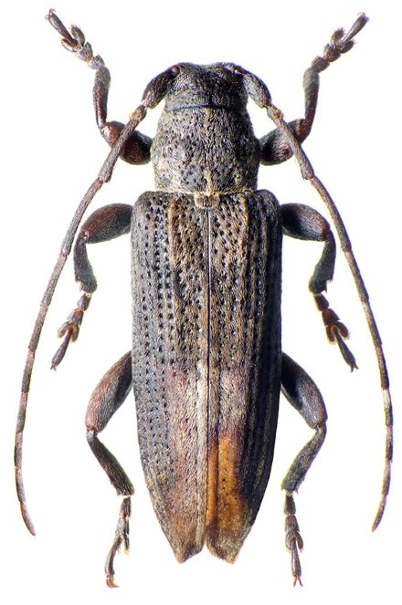
SubFamily Lamiinae

Tribe Apomecynini
Sybra ephippiata Fairmaire 1896

Sex: m
Photographer: Ivo Jenis
Collection Location: Moramanga, Madagascar
89387


Determiner: Faune de Madagascar
62693

130425