New Search Family, Subfamily and Tribe List

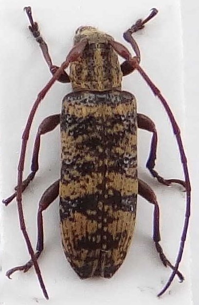
SubFamily Lamiinae

Tribe Apomecynini
Parepilysta striatipennis Breuning 1949

Sex: f
Photographer: Andre Skale, Cerambycoidea Forum
Collection Location: Lao Cai Province, Vietnam
79634

130425