_Holz_Coll_Lueyang_Shaanxi_Prov_China_Dembicky_pic.jpg)
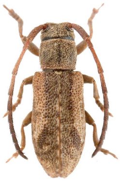
Specimen Type: holotype Sex: m Institution: Holzschuh Collection Photographer: Lubo Dembický Collection Location: Lueyang, Shaanxi Province, China 59155
|
_Holz_Coll_Lueyang_Shaanxi_Prov_China_Dembicky_pic.jpg)
Specimen Type: paratype Sex: f Institution: Holzschuh Collection Photographer: Lubo Dembický Collection Location: Lueyang, Shaanxi Province, China 59156
|