
Photographer: Mickael Francois, Cerambycoidea Forum Collection Location: Parc Kafue, Chunga, Zambia 40408
|

Photographer: Eric Jiroux Collection Location: Lower Zambezi National Park, Lusaka, Zambia 74515
|

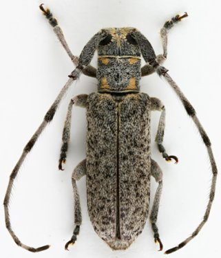
Institution: LGBC Larry G. Bezark Collection, Sacramento, California, USA Photographer: Larry G. Bezark Collection Location: Rupisi, Zimbabwe 40407
|
|