New Search Family, Subfamily and Tribe List

SubFamily Lamiinae

Tribe Eunidiini
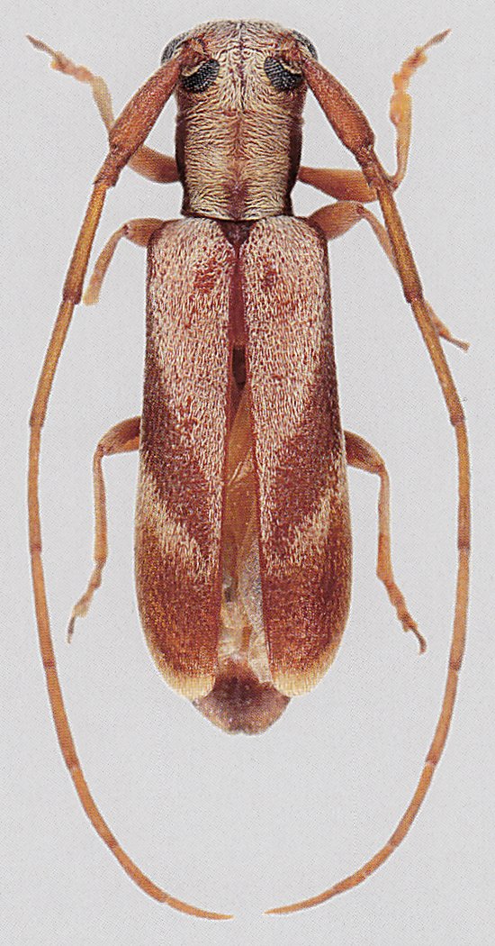
Eunidia obliquevittipennis Breuning 1971

Sex: f
Photographer: Karl Adlbauer
Collection Location: Ethiopia
72373

130425