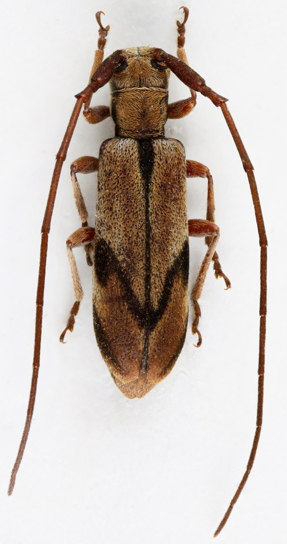
_Br_BMNH_Port_St_John_E_Cape_RSA_Pierre-Olivier_Maquart_pic.jpg)
Specimen Type: holotype Institution: BMNH British Museum Natural History, London, UK Photographer: Pierre-Olivier Maquart, Cerambycoidea Forum Collection Location: Port St John, East Cape, South Afica 72435
|

Photographer: Mickaël Francois, Cerambycoidea Forum Determiner: Pierre-Olivier Maquart Collection Location: Qhaka, East Cape, South Africa 72434
|