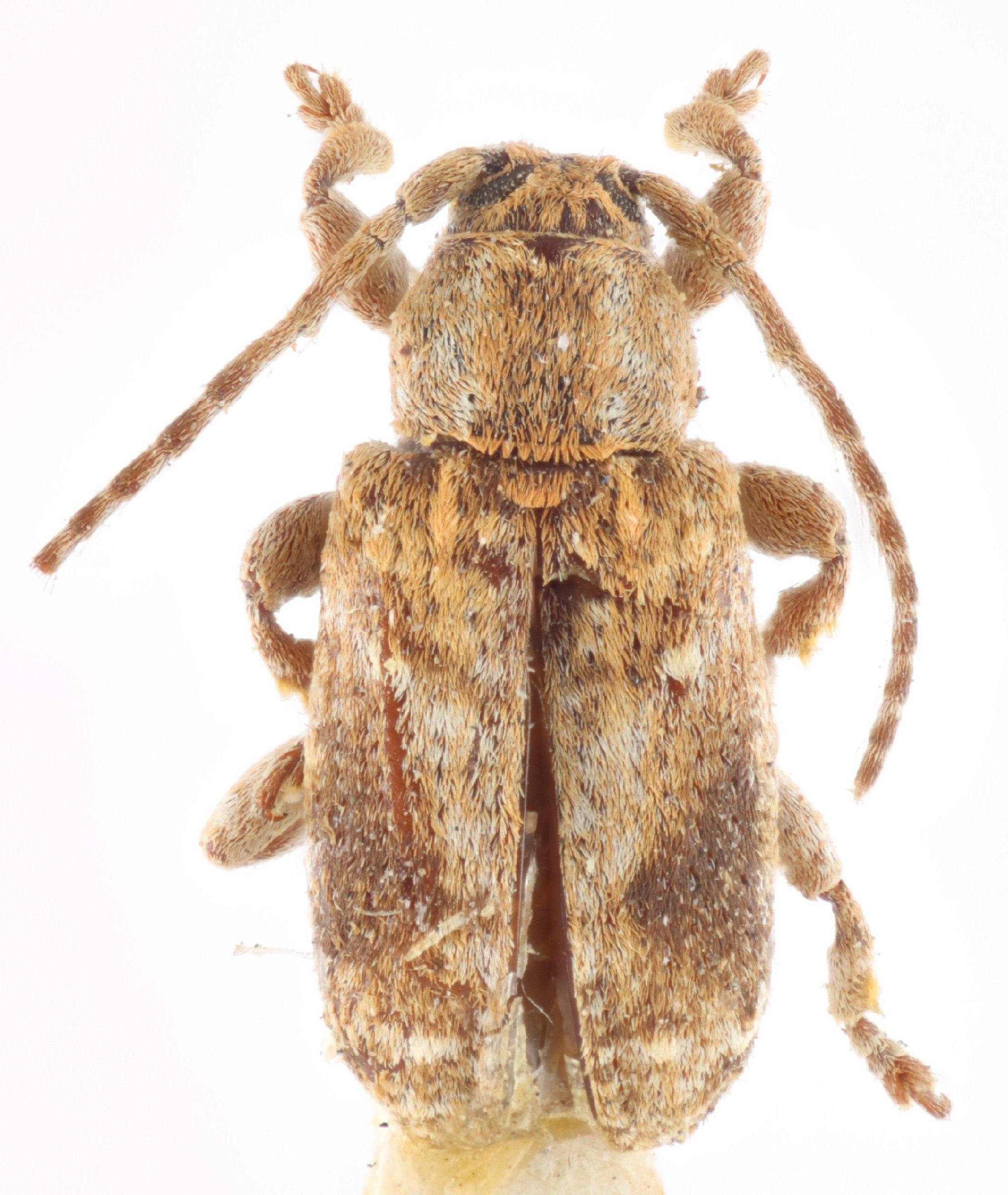
 Breuning BMNH KM.jpg)
Specimen Type: holotype Institution: BMNH British Museum Natural History, London, UK Photographer: Keita Matsumoto Collection Location: Somalia 95363
|
 Breuning BMNH KM.jpg)
Specimen Type: holotype Institution: BMNH British Museum Natural History, London, UK Photographer: Keita Matsumoto Collection Location: Somalia 95364
|
 Breuning BMNH KM.jpg)
Specimen Type: holotype Institution: BMNH British Museum Natural History, London, UK Photographer: Keita Matsumoto Collection Location: Somalia 95365
|
_Breuning_Ethiopia_Adlbauer.jpg)
Sex: m Photographer: Karl Adlbauer Collection Location: Ethiopia 72315
|
|