_White_BMNH_col_=_Psyrassa.jpg)
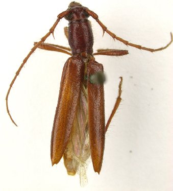
Sphaerion subpicea White Specimen Type: holotype Sex: m Institution: BMNH British Museum Natural History, London, UK Photographer: Victor Toledo Collection Location: Honduras 21180
|
_White_BMNH_label_=_Psyrassa.jpg)
Sphaerion subpicea White Specimen Type: holotype Sex: m Institution: BMNH British Museum Natural History, London, UK Photographer: Victor Toledo Collection Location: Honduras 21181
|