New Search Family, Subfamily and Tribe List

SubFamily Lamiinae

Tribe Apomecynini
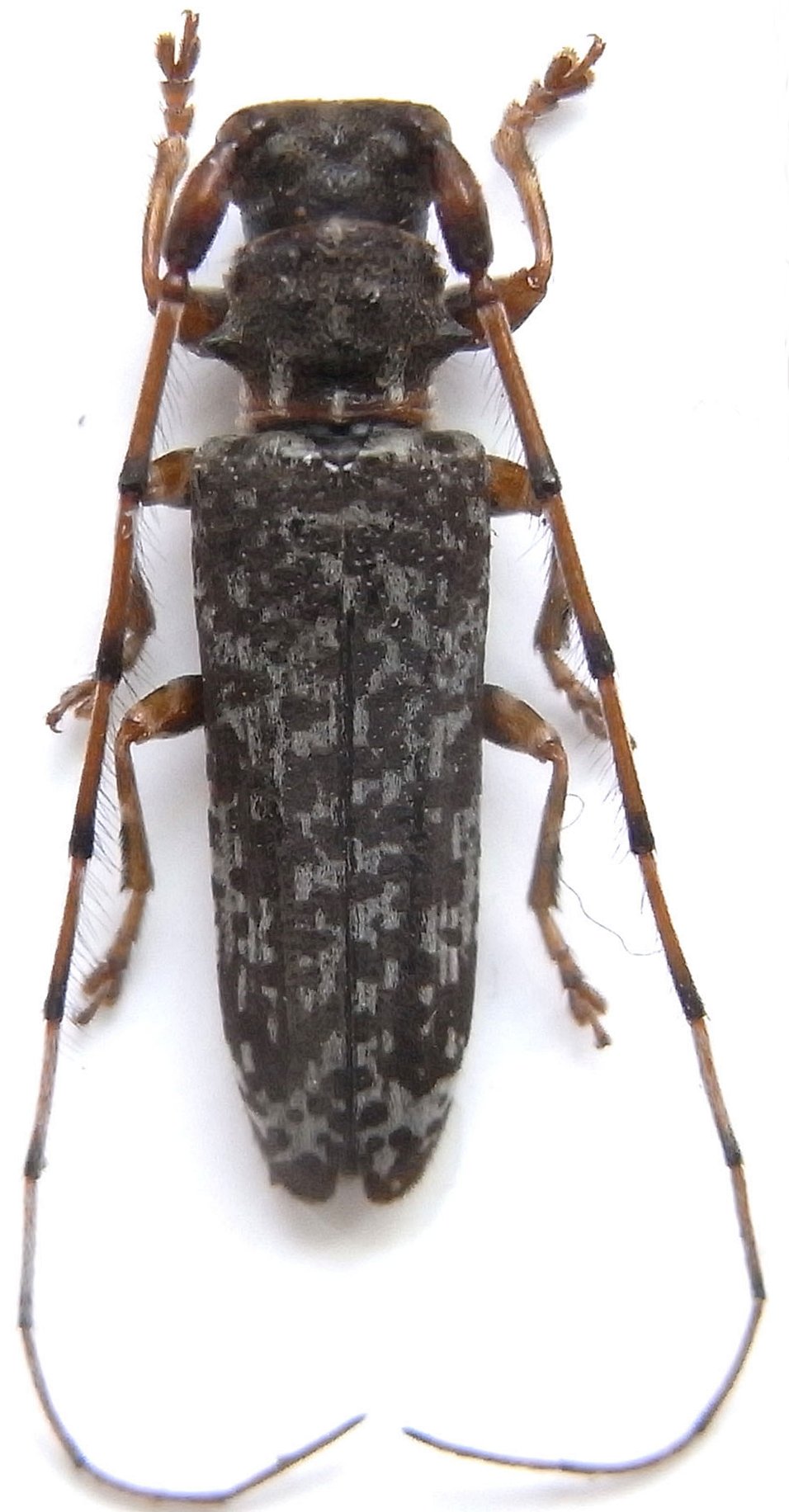
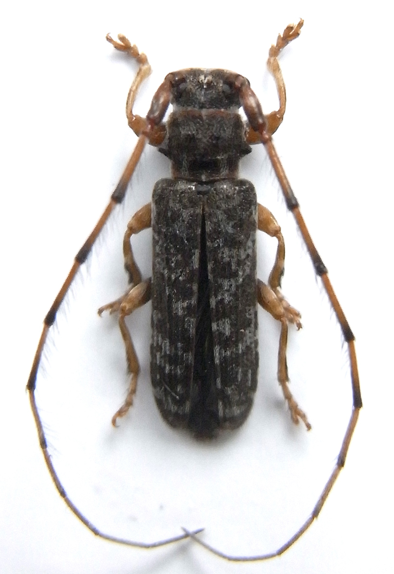
Asaperda maculosa Pic 1927

Sex: m
Photographer: Xavier Gouverneur, Cerambycoidea Forum
Collection Location: Northern Laos
71133


Sex: f
Photographer: Xavier Gouverneur, Cerambycoidea Forum
Collection Location: Hua Phan, NE Laos
71134

130425